1616 Martin Luther King JrMerced, CA95340




Mortgage Calculator
Monthly Payment (Est.)
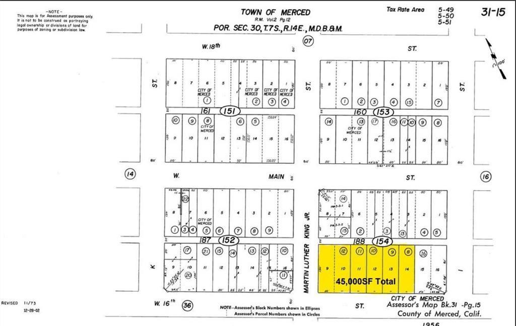
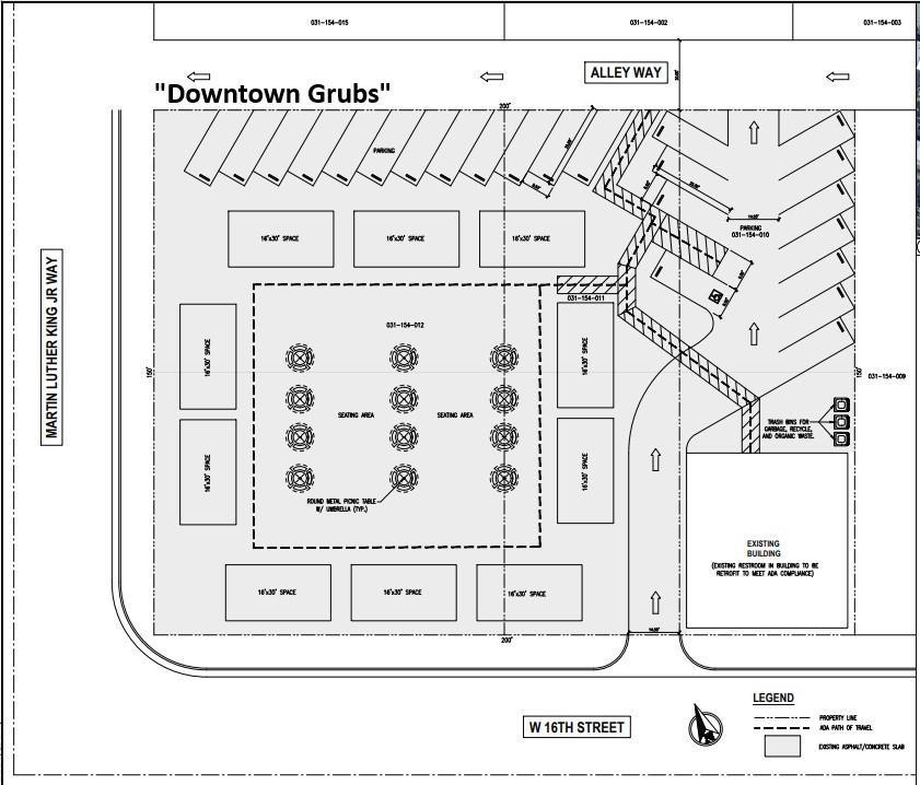
$15,968Prime Downtown Merced Commercial Portfolio - 5 Contiguous C-C Parcels. Rare bulk sale opportunity consisting of five contiguous Central Commercial (C-C) zoned parcels totaling approximately 1.03 acres. All Fully improved commercial lots with utility hookups in place and precious home of Kentucky Fried Chicken drive through. The hard corner consists of a 15,000 SF parcel and operates as the established Downtown Grubs'' food truck plaza, generating strong foot traffic with potential gross rents of approximately $15,000 per month. Improvements include: a 2,500 SF retail building currently supporting food truck operations (restrooms, storage, utility sinks). A 6,000 SF retail warehouse leased to an antique & collectibles dealer at $4,125/month gross. All tenants are on month-to-month leases, offering flexibility for investors or owner-users. Located within walking distance to Downtown Merced and near major national retailers including Chick-fil-A (new site), Starbucks, In-N-Out, Popeyes, and Taco Bell. Excellent proximity to Hwy 99 and downtown landmarks such as UC Merced Downtown Campus Center, El Capitan Hotel, and the Mainzer Theatre. Strong existing income with redevelopment and value-add potential in a high-visibility commercial corridor.
| yesterday | Listing updated with changes from the MLS® | |
| yesterday | Listing first seen on site |

All measurements and all calculations of the area are approximate. Information provided by Seller/Other sources, not verified by Broker. All interested persons should independently verify the accuracy of information. Provided properties may or may not be listed by the office/agent presenting the information. Data maintained by MetroList® may not reflect all real estate activity in the market. All real estate content on this site is subject to the Federal Fair Housing Act of 1968, as amended, which makes it illegal to advertise any preference, limitation or discrimination because of race, color, religion, sex, handicap, family status or national origin or an intention to make any such preference, limitation or discrimination. Terms of Use
Last checked 2026-02-14 08:27 PM PST


Did you know? You can invite friends and family to your search. They can join your search, rate and discuss listings with you.